মার্কিন হারিকেন কেন্দ্র সতর্ক করে জানিয়েছে, উত্তর-পশ্চিম জ্যামাইকায় ঝড়ের তীব্রতা এখনও অনেক বেশি, যা প্রাণঘাতী পরিস্থিতি সৃষ্টি করতে পারে।
অবশ্য আগেই পূর্বাভাস দেওয়া হয়েছিল, মেলিসা বিপর্যয়কর আকস্মিক বন্যা, ভূমিধস ও ব্যাপক ক্ষয়ক্ষতি ঘটাতে পারে। বিশ্ব আবহাওয়া সংস্থার সাইক্লোন বিশেষজ্ঞ আন-ক্লেয়ার ফন্টানের মতে, বৃষ্টিপাতের পরিমাণ ৭০০ মিলিমিটার ছাড়িয়ে যেতে পারে, যা পুরো মৌসুমি বৃষ্টির প্রায় দ্বিগুণ।
জ্যামাইকার স্থানীয় সরকারমন্ত্রী ডেসমন্ড ম্যাকেঞ্জি বলেছেন, “আমরা সর্বোচ্চ প্রস্তুতি নিয়েছি। কিন্তু ক্যাটাগরি ৫ মাত্রার ঝড়ের জন্য পুরোপুরি প্রস্তুত থাকা প্রায় অসম্ভব”। তিনি মনে করিয়ে দেন, গত বছরের হারিকেন বেরিল দেশজুড়ে ভয়াবহ ক্ষতি করেছিল।
রেডক্রস কর্মকর্তারা জানিয়েছেন, ঝড়ের প্রভাবে দেশের পশ্চিমাঞ্চলে প্রবল বাতাস, ভারী বৃষ্টি ও বড় ধরনের ক্ষতির আশঙ্কা রয়েছে। সংস্থাটির আন্তর্জাতিক ফেডারেশন সতর্ক করেছে, শুধুমাত্র জ্যামাইকাতেই প্রায় ১৫ লাখ মানুষ মেলিসার প্রভাবে ক্ষতির মুখে পড়তে পারেন।
এদিকে দ্বীপে অবস্থানরত প্রায় ২৫ হাজার পর্যটককে নিরাপদে রাখতে হোটেলগুলো কম মূল্যে আশ্রয়ের ব্যবস্থা করেছে। প্রধানমন্ত্রী অ্যান্ড্রু হোলনেস জানিয়েছেন, জাতিসংঘ, যুক্তরাষ্ট্র, ইউরোপীয় ইউনিয়ন, যুক্তরাজ্য ও ফ্রান্সসহ বেশ কয়েকটি দেশ সাহায্যের আশ্বাস দিয়েছে।
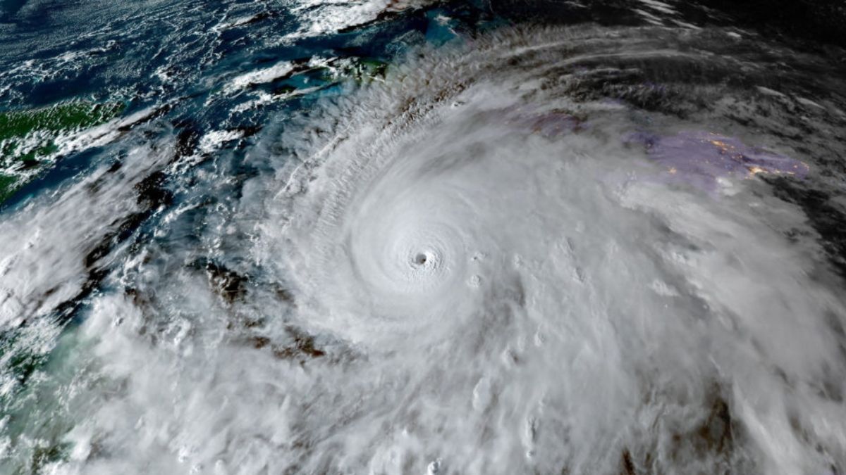
আল জাজিরা জানাচ্ছে, মেলিসা এখন ঘণ্টায় প্রায় ৩০০ কিলোমিটার বেগে কিউবার দিকে এগোচ্ছে। যুক্তরাষ্ট্রের আবহাওয়া তথ্য বিশ্লেষণ অনুযায়ী, এটি চলতি বছরের সবচেয়ে শক্তিশালী ক্রান্তীয় ঝড়। বুধবারের মধ্যে এটি কিউবায় ক্যাটাগরি ৪ মাত্রার শক্তিতে আঘাত হানতে পারে বলে ধারণা করা হচ্ছে। ইতোমধ্যে দেশটিতে বহু মানুষকে নিরাপদ স্থানে সরিয়ে নেওয়া হয়েছে। সামাজিক যোগাযোগমাধ্যম ও রাষ্ট্রীয় টেলিভিশনে দেখা গেছে, বাসে করে লোকজনকে আশ্রয়কেন্দ্রে নেওয়া হচ্ছে।
এছাড়া কিউবার উপকূলীয় অঞ্চল থেকে অন্তত ৬ লক্ষ মানুষকে সরিয়ে নেওয়া হচ্ছে। এর মধ্যে দেশটির দ্বিতীয় বৃহত্তম শহর সান্তিয়াগোও রয়েছে। পূর্বাঞ্চলীয় হোলগুইন প্রদেশে ২ লাখের বেশি মানুষকে নিরাপদ স্থানে নেওয়া হচ্ছে।
দেশটির উপপ্রধানমন্ত্রী এদুয়ার্দো মার্টিনেজ বলেছেন, “এটি অত্যন্ত বিপজ্জনক পরিস্থিতি। আমরা এমন কিছু আগে কখনও দেখিনি।”

